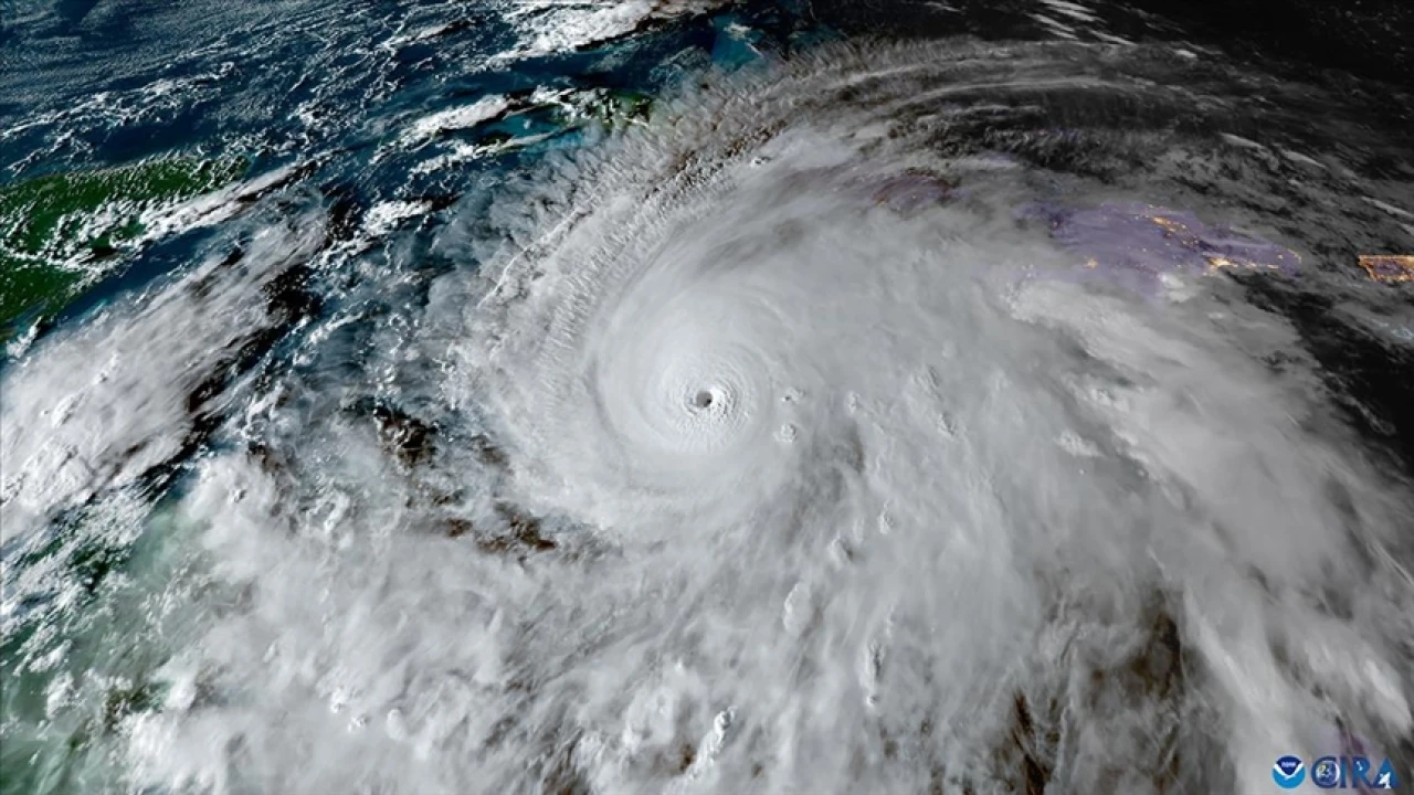
ABD'den Melissa Kasırgası mağdurlarına 24 milyon dolarlık yardım!
Yayımlanma Tarihi: 05 Kasım 2025 07:41 | Son Güncelleme Tarihi : 05 Aralık 2025 19:27Karayipler'i vuran Melissa Kasırgası büyük yıkıma yol açarken, ABD bölgedeki afetzedelere ilk etapta 24 milyon dolar insani yardım sağlayacağını duyurdu. Yardım kapsamında barınma, gıda, su ve sağlık desteği öncelikli olacak.
ABD Dışişleri Bakanlığı, Karayipler bölgesinde etkili olan Melissa Kasırgası'nın ardından Jamaika, Haiti, Bahamalar ve Küba'ya destek sağlanacağını açıkladı.
Açıklamada, afet bölgelerine barınma, su, hijyen, gıda ve acil sağlık hizmetlerinde kullanılmak üzere fon aktarılacağı belirtildi.
ABD, bu kapsamda dört ülkeye ilk etapta 24 milyon dolar acil durum ve hayat kurtarma yardımı gönderecek.
Afet Ekipleri Bölgedeki Durumu İzliyor
Bakanlık, Jamaika'daki Afet Yardım Müdahale Ekibi'nin, bölgedeki durumu yakından izleyerek ihtiyaçları belirlemeye devam ettiğini bildirdi.
Yardımların, uluslararası kuruluşlar ve yerel yönetimlerle koordineli şekilde dağıtılacağı ifade edildi.
Kasırga 49 Kişinin Ölümüne Neden Oldu
Melissa Kasırgası, Karayipler genelinde şiddetli yağış, fırtına ve sellere yol açtı.
Küba Devlet Başkanı Miguel Diaz Canel, ülkede 735 binden fazla kişinin tahliye edildiğini açıkladı.
Küba'daki can kaybı sayısına ilişkin resmi bilgi paylaşılmazken, bölge genelinde toplam 49 kişinin yaşamını yitirdiği bildirildi.
Yorumlar
Henüz hiç yorum yapılmamış
İlk yorumu siz yapın ve tartışmayı başlatın!
AB'nin X'e Verdiği Ceza ABD'de Tepki Yarattı: Rubio Karara Sert Çıktı
ABD Dışişleri Bakanı Marco Rubio, AB'nin X platformuna kestiği 120 milyon avroluk cezanın ifade özgürlüğüne müdahale niteliği taşıdığını savundu.
06 Aralık 2025 04:20
BM Genel Kurulu, Filistinlilere yardım sağlayan UNRWA'nın görev süresini 3 yıl uzattı
Birleşmiş Milletler Genel Kurulu, Filistinli mültecilere insani yardım sağlayan UNRWA'nın görev süresini 3 yıl uzattı
06 Aralık 2025 03:55
Gazze Sağlık Bakanlığı'ndan Dr. Ebu Safiyye için acil çağrı
Gazze Sağlık Bakanlığı, neredeyse bir yıldır İsrail'de tutulan Kemal Advan Hastanesi Müdürü Dr. Ebu Safiyye için uluslararası destek istedi ve doktorun akıbetine açıklık getirilmesi çağrısında bulundu.
06 Aralık 2025 02:56
ABD Yüksek Mahkemesi 'doğumla vatandaşlık hakkı' konusunda son sözü söyleyecek
ABD Yüksek Mahkemesi, Başkan Donald Trump'ın ABD'de doğan çocuklara yönelik 'doğumla vatandaşlık hakkını' sınırlandıran başkanlık kararnamesiyle ilgili önemli bir adım attı.
06 Aralık 2025 02:45
ABD Başkanı Trump'a 'FIFA Barış Ödülü' verildi
ABD Başkanı Donald Trump'a, 2026 Dünya Kupası kura çekimi öncesinde, dünya barışına yaptığı katkılar dolayısıyla 'FIFA Barış Ödülü' takdim edildi.
05 Aralık 2025 21:21
Almanya'da Federal Meclisten geçen 'askerlik hizmeti yasa tasarısı' protesto edildi
Almanya'da öğrenciler, Federal Mecliste kabul edilen ve asker sayısını artırmayı hedefleyen askerlik hizmetine ilişkin yasa tasarısını protesto etti.
05 Aralık 2025 18:57
Avrupa borsaları haftanın son gününde Almanya hariç düşüşle kapattı
Avrupa borsaları, haftanın son işlem gününü Almanya hariç düşüşle tamamladı.
05 Aralık 2025 21:12
Borsa, Altın, Döviz Ne Oldu? Haftaya Genel Bakış
Borsa İstanbul'da işlem gören hisse senetleri haftalık bazda ortalama yüzde 1, altının gram fiyatı yüzde 1,21, avro/TL yüzde 0,71 ve dolar/TL yüzde 0,07 değer kazandı.
05 Aralık 2025 19:50
Borsa İstanbul Günü Yükselişle Kapattı
Borsa İstanbul'da BIST 100 endeksi, günü yüzde 0,81 değer kazanarak 11.007,37 puandan tamamladı.
05 Aralık 2025 18:48
İsrail hükümeti, 2026 yılı bütçesini 205 milyar dolar olarak onayladı
İsrail hükümeti, bugün yapılan görüşmelerde 2026 bütçesini onaylayarak toplam 662 milyar şekel (yaklaşık 205 milyar dolar) olarak belirledi.
05 Aralık 2025 17:17
Rusya altınla zirveye çıktı: Rezervler 300 milyar doları geçti
Rusya'nın altın rezervleri kasım ayında ilk kez 300 milyar doları aşarken, altının ülkenin uluslararası rezervlerindeki payı yüzde 42,3 olarak kaydedildi.
05 Aralık 2025 17:10
Altının kilogram fiyatı ne kadar oldu?
Borsa İstanbul Kıymetli Madenler ve Kıymetli Taşlar Piyasası'nda (KMKTP) standart altının kilogram fiyatı haftayı yükselişle tamamladı
05 Aralık 2025 17:05
En Çok Okunan Haberler
Popüler Kategoriler
Editörün Seçtikleri
Hava Durumu
